Terreno La Tahona y aledaños, ref: 246878

Lote en esquina con excelente ubicación en Lomas de la Tahona

Venta USD 340.000

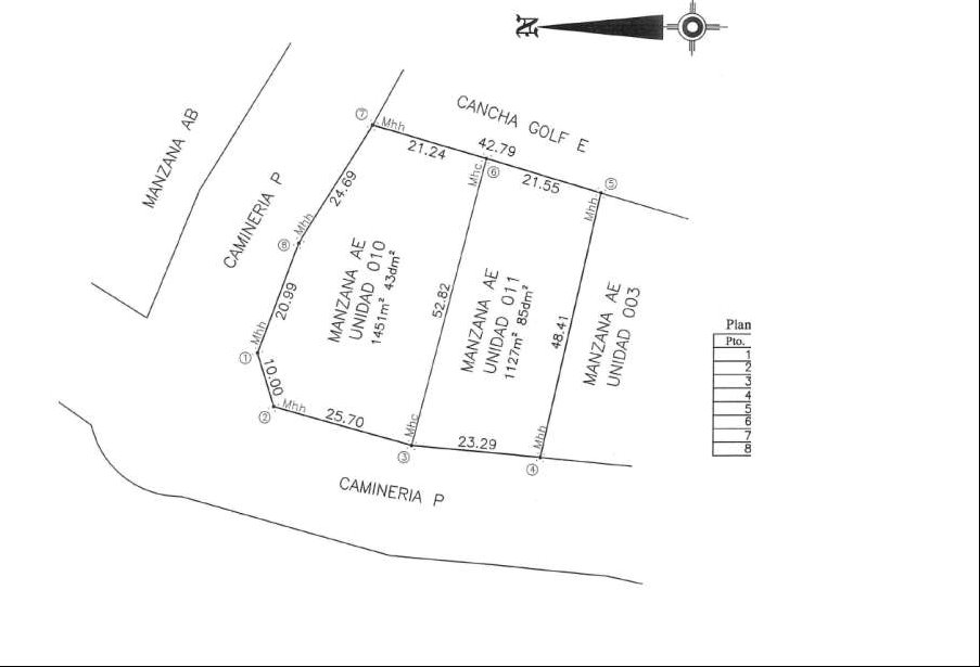
1.451 m² SUP.1.451 m² EDIF.
Al FrenteEstado: ExcelenteCalefacción: Sin Calefacción
Amplio terreno en esquina de 1.451 m² en el exclusivo barrio privado Lomas de la Tahona. Cuenta con más de 44 m y 26 m de frente sobre dos calles, en una zona elevada con agradables vistas y orientación norte y oeste, ideal para aprovechar la luz natural.

Existe además la posibilidad de adquirir el terreno lindero.

Lomas de la Tahona, desarrollado en 1994, es un barrio consolidado que combina naturaleza, seguridad y excelente calidad de vida. Se accede fácilmente desde Ruta Interbalnearia (km 23.9) por Camino de los Horneros, totalmente asfaltado e iluminado. Está a menos de 10 minutos del Aeropuerto de Carrasco y a 13 minutos de Carrasco.

El barrio ofrece campo de golf de 18 hoyos, club house con restaurante, piscina climatizada, gimnasio, spa, canchas de tenis y pádel, salón de eventos y áreas recreativas.

Si quieres, también puedo hacer una versión aún más corta tipo “publicación premium” que suele generar más consultas en portales inmobiliarios.
* Las superficies de los apartamentos incluyen muros divisorios hasta su eje, ductos, terrazas, balcones, prorrateo de área común, circulación vertical exclusivamente de planta.

* Todas las medidas enunciadas son meramente orientativas, las medidas exactas serán las que se expresen en el respectivo título de propiedad de cada inmueble. Todas las fotos, imagenes y videos son meramente ilustrativos y no contractuales. Los precios enunciados son meramente orientativos y no contractuales.

Contacto